Používame cookies

Súbory cookie a ďalšie technológie sledovania používame na zlepšenie vášho zážitku z prehliadania našich webových stránok, na to, aby sme vám zobrazovali prispôsobený obsah a cielené reklamy, na analýzu návštevnosti našich webových stránok a na pochopenie toho, odkiaľ naši návštevníci prichádzajú. Viac info

 

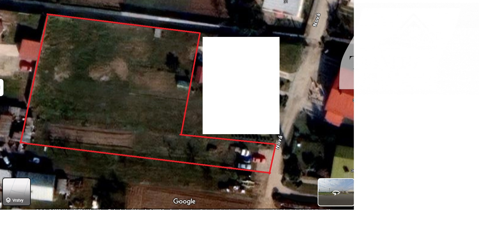
V ponuke na predaj stavebné pozemky Gyňov

Interné ID: 250047
Ulica: Nová
Obec: Gyňov
Okres: Košice - okolie
Kraj: Košický kraj
Druh: Pozemky
Typ: Predaj
Typ pozemku: Pozemok pre rodinné domy
144 900 €

Popis nehnuteľnosti

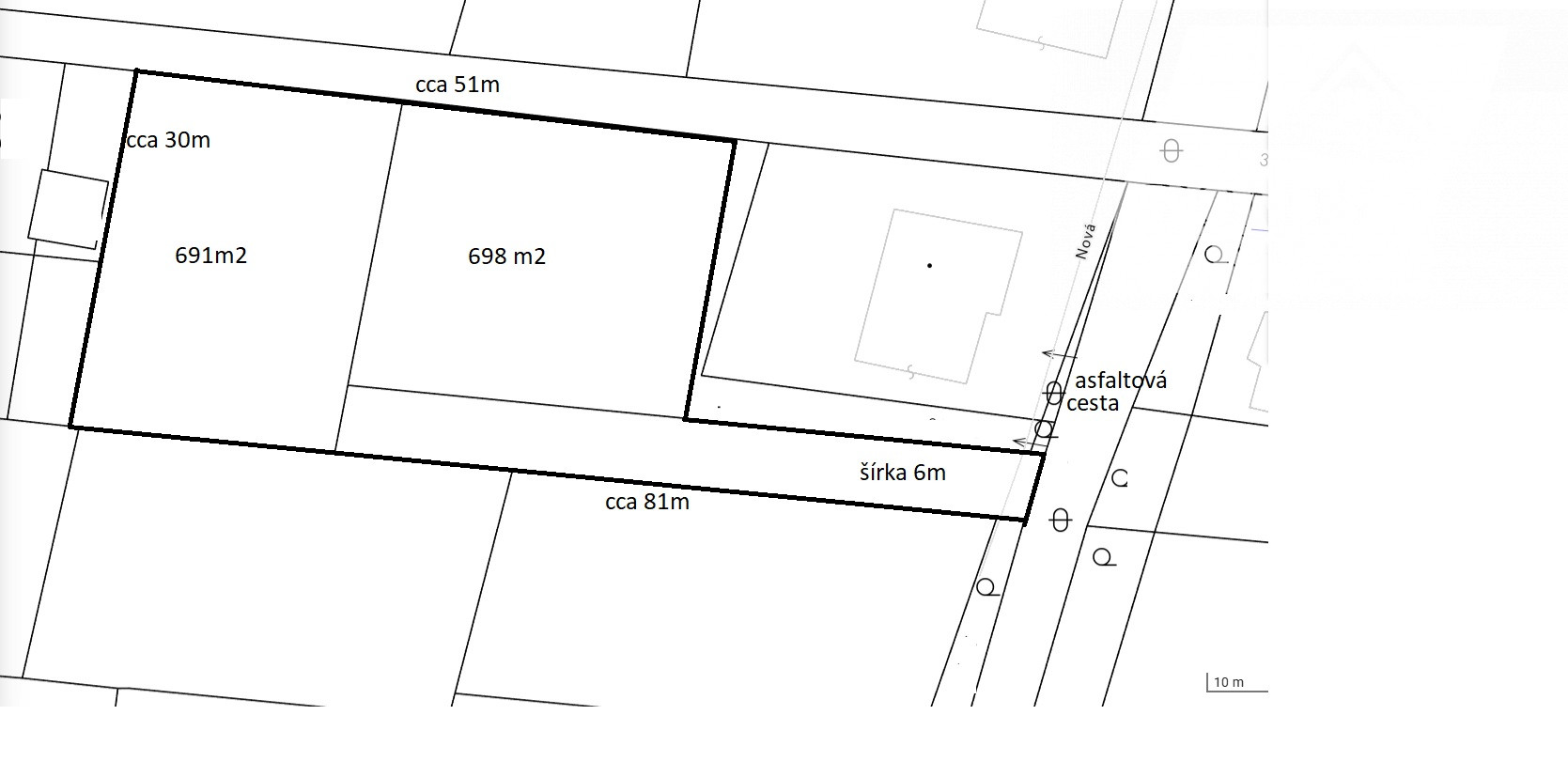
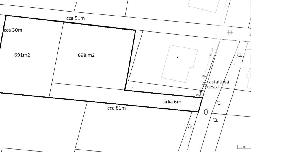
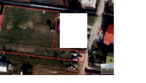
Tomisreal ponúka na predaj slnečný, rovinatý, stavebný pozemok pozostávajúci z dvoch parciel s výmerou 691 m2 a s výmerou 698m2 v obci Gyňov, čo je približne 15 min. cesty autom do Košíc. Súčasťou predaja je aj podiel na prístupovej ceste, čo je polovica parcely, ktorú tvorí  185m2 ku každému pozemku. Pozemok sa nachádza v zastavanej časti obce v intraviláne. Parcely sú aktuálne nezastavané, kde je teda možnosť začať s okamžitou výstavbou RD.

Inžinierske siete na pozemku: obecná voda (vodomerná šachta), elektrika. Pozemok je celý oplotený, kupujete si aj podiel na prístupovej ceste.

V obci a jej okolí je kompletná občianska vybavenosť: materská škola, obchod Domino, ďalej v Čani, ktorá je vzdialená 3km sa nachádza ZŠ, zdravotné stredisko,  Tesco, Coop Jednota, Bowling, zimný štadión, reštauračné zariadenia a množstvo iných prevádzok. Ak hľadáte ideálny pozemok pre Váš nový domov, tento stavebný pozemok v obci Gyňov môže byť presne tým, čo hľadáte.

V prípade, že Vás táto ponuka zaujala, neváhajte nás kedykoľvek kontaktovať a dohodnúť si stretnutie. Vyjadrenie stavebného úradu je k dispozícii. Radi Vám pomôžeme aj s vybavením hypotekárneho úveru v našom hypotekárnom centre za výhodných podmienok.

Vlastnosti

Status:
aktívne
Vlastníctvo:
osobné
Plocha pozemku:
880 m2
Typ zeme:
rovina
Teritórium:
Intravilán
Šírka pozemku:
22 m
Dĺžka pozemku:
30 m
Celková plocha:
1760 m2
Orientácia:
juh
Inžinierske siete:
áno
Voda:
áno
Elektrika:
áno
Voda - na pozemku:
áno
Voda - na pozemku - vodný zdroj:
áno
Elektrika - na pozemku:
áno
Elektrika - na pozemku - 230 V:
áno
Elektrika - na pozemku - 380 V:
áno
Status:
aktívne
Vlastníctvo:
osobné
Plocha pozemku:
880 m2
Typ zeme:
rovina
Teritórium:
Intravilán
Šírka pozemku:
22 m
Dĺžka pozemku:
30 m
Celková plocha:
1760 m2
Orientácia:
juh
Inžinierske siete:
áno
Voda:
áno
Elektrika:
áno
Voda - na pozemku:
áno
Voda - na pozemku - vodný zdroj:
áno
Elektrika - na pozemku:
áno
Elektrika - na pozemku - 230 V:
áno
Elektrika - na pozemku - 380 V:
áno

Pozrieť na mape

Maklér

Ing. Tomáš Šimko

Ing. Tomáš Šimko

realitný maklér

  • Česky
  • Slovensky
  • Deutsch
  • sora

Radi Vám poradíme

Podobné nehnuteľnosti